
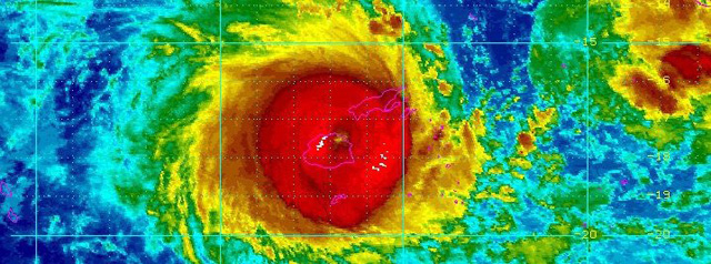
Es war der schwerste Zyklon, der auf den Fidschi-Inseln je gemessen wurde.
In Deutschland werden Karnevalsumzüge abgesagt, wenn die Windgeschwindigkeit etwa 100 km/h beträgt. Über die Fidschi-Inseln fegt ein Zyklon mit über 300 km/h. Häuser stürzen ein, ein Mensch wird erschlagen. Für den Inselstaat ist das eine Katastrophe.
Auf den Fidschi-Inseln sind durch den mächtigen Zyklon „Winston“ Medienberichten zufolge mindestens fünf Menschen ums Leben gekommen. Die Opferzahl habe der Direktor der Behörde für Katastrophenschutz, Akapusi Tuifagalele, bestätigt, berichtete das Nachrichtenportal „Fijilive“.
Das Dorf Kade auf der Insel Koro traf es den Angaben zufolge am schlimmsten: Sämtliche Häuser sollen dort zerstört sein, einschließlich der Kirche und der Schule. Im ganzen Land fiel der Strom mehr als 24 Stunden lang aus. Auch der Betrieb auf dem internationalen Flughafen wurde zeitweise eingestellt.

Schwerste jemals gemessene Sturm
Es war der schwerste Zyklon, der auf den Fidschi-Inseln je gemessen wurde: Der Sturm der höchsten Kategorie 5 war mit Spitzenwindgeschwindigkeiten von mehr als 300 Kilometern in der Stunde über den Inselstaat im Südpazifik gezogen. Die Regierung erklärte das ganze Land mit mehr als 300 Inseln zum Katastrophengebiet und verhängte eine Ausgangssperre bis Montag. Das Militär aktivierte alle Soldaten für Hilfseinsätze.
Bei Twitter wurden Fotos von umgestürzten Strommasten und Palmen hochgeladen, die von der Insel Taveuni stammen sollen. „Fijivillage“ zitierte Einwohnerin Elenoa Roqaranaivalu, nach deren Angaben mindestens vier Häuser auf der Insel abgedeckt wurden und Masten umknickten (HAARP-Katastrophen als Väter aller Profite: Stürme und Erdbeben als Waffen (Videos)).
Video:
In Neuseeland war das Rote Kreuz in Alarmbereitschaft und stand auf Abruf für einen Hilfseinsatz bereit. „Winston ist ein unglaublich mächtiger Sturm“, sagte Generalsekretär Tony Paine. „Häuser, Infrastruktur und Ernten dürften in Mitleidenschaft gezogen werden. Das könnte auch langfristig weitreichende Folgen haben.“
Video:
Die Fidschi-Inseln liegen 3000 Kilometer östlich von Australien und 2000 Kilometer nördlich von Neuseeland. Etwa 900.000 Menschen leben dort – für sie richtete die Regierung rund 750 Notunterkünfte ein. Tourismus ist eine der Haupteinnahmequellen des Inselstaates. Die meisten Besucher kommen aus Australien und Neuseeland.


Vor knapp einem Jahr hatte Zyklon „Pam“ 1000 Kilometer weiter westlich auf Vanuatu verheerende Verwüstungen angerichtet. Die Unwettersaison im Südpazifik dauert von November bis April. „Winston“ gehört zu den sieben stärksten Zyklonen in der Region seit mehr als 30 Jahren.
Literatur:
Veränderung des Golfstroms. Auswirkungen und Risiken für Europa von Vitus Wahlländer
Die Erde hat ein Leck: Und andere rätselhafte Phänomene unseres Planeten von Axel Bojanowski
Die seltsamsten Orte der Welt: Geheime Städte, Wilde Plätze, Verlorene Räume, Vergessene Inseln von Alastair Bonnett
Löcher im Himmel. Der geheime Ökokrieg mit dem Ionosphärenheizer HAARP von Jeane Manning und Nick Begich
1
2
Quellen: PublicDomain/Twitter/n-tv/tagesschau.de am 22.02.2016
Weitere Artikel:
Heftiger Schneesturm: «Snowzilla» ist auf dem Weg nach Europa (Videos)
Nach dem Sturm ist vor dem Sturm: Auf „Heini“ folgt „Iwan“ – dann der Winter
Extrem-Hurrikan Joaquin ändert plötzlich Richtung – und stürmt jetzt nach Europa (Videos)
Golfstrom-Anomalie: Nordatlantik ungewöhnlich kalt
Wellen am Atlantik immer größer (Videos)
Zeichen der Veränderung: Gewaltiger Sandsturm im Irak – Staubwolke verschlingt US-Metropole (Videos)
Schwindendes Meereis schwächt Umwälzpumpe im Nordatlantik
HAARP-Katastrophen als Väter aller Profite: Stürme und Erdbeben als Waffen (Videos)
Staubtrockene Äcker und Felder – Staubstürme im Nordosten von Deutschland (Video)
Zeichen der Veränderung: Hitzewelle in Indien lässt Asphalt schmelzen – Trockenheit in Hessen – Unwetter in Polen (Videos)
Zeichen der Veränderung: Riesenwellen überfluten Küsten in Mittel- und Südamerika (Videos)
Zeichen der Veränderung: Chile – Überschwemmungen in der Atacama-Wüste (Videos)
Zeichen der Veränderung: Starke Stürme werden noch heftiger (Videos)
Zwei heftige Wirbelstürme richten Zerstörungen in Australien an (Videos)
Zeichen der Veränderung: Starke Stürme werden noch heftiger (Videos)
Klima-Lüge: 2014 war gar nicht das wärmste Jahr, das jemals aufgezeichnet wurde
Orkantiefs “Elon” und “Felix”: Deutschland vor dem Sturm-Wochenende
Vorläufige Tornado-Bilanz 2014: Mehr Stürme als im letzten Jahr
Wellen am Atlantik immer größer (Videos)
Monster-Blizzard “Juno”: Gewaltiger Schneesturm bedroht US-Ostküste (Nachtrag & Videos)
Klima: Australisches Wetteramt der Manipulation von Temperaturaufzeichnungen angeklagt
An alle Stromtrassen-Gegner: Warum werden diese Hochspannungsleitungen durchs ganze Land gebaut (Videos)
Revidierte El-Niño-Prognose: Extremwetter rund um den Pazifik bleibt aus
Die offizielle Chemtrails-Werbung der Klima-Ingenieure in Deutschland (Video)
Neue Studie zur Klimageschichte: Arktisches Meereis beeinflusste Stärke des Golfstromes
Nutzen die USA und Rußland Wirbelstürme und Erdbeben für Wetterkriege? (Videos)
Die Sonne steckt hinter dem Klimawandel
Bundeswehr: Geo-Engineering – Gezielt das Klima beeinflussen
250 Jahre Sonnenflecken-Zahlen: Es war alles ganz anders
Mini-Max 2014: Die Sonnenaktivität auf dem Höhepunkt (Video)
Umwelt-Bundesamt: Klima-Skeptiker sind dumm oder korrupt
Sonnenwinde lassen es auf der Erde häufiger blitzen (Video)
Klima und Atmosphäre: Verräterische Sonnenuntergänge
Bundeswehr spricht über Geo-Engineering und Klimawaffen
Was der lahme Jetstream aus unserem Sommer macht (Video)
Wirbelstürme: Tropische Klimazone breitet sich aus
El Niño könnte das Weltklima auf den Kopf stellen – dieses Jahr
Zu Lande und zu Wasser: Methanlecks in der Erde (Videos)
Die CO2 Lüge – Panik für Profit: Einfluss des Universums, Geoengineering und Ende der Eiszeit
US-Kongressausschuss über HAARP: Wir können die Ionosphäre kontrollieren (Video)
Der IPCC-AR-Report: Manipulationen desperater Warmisten, um uns unverfroren hinter´s Licht zu führen
Wetter auf Bestellung: Die Wolkenschieber (Videos)
Komet löste Eiszeit vor 13.000 Jahren aus: Neue Erkenntnisse (Videos)
Das HAARP-Projekt (Videos)
